Web Design
Frampton Railways

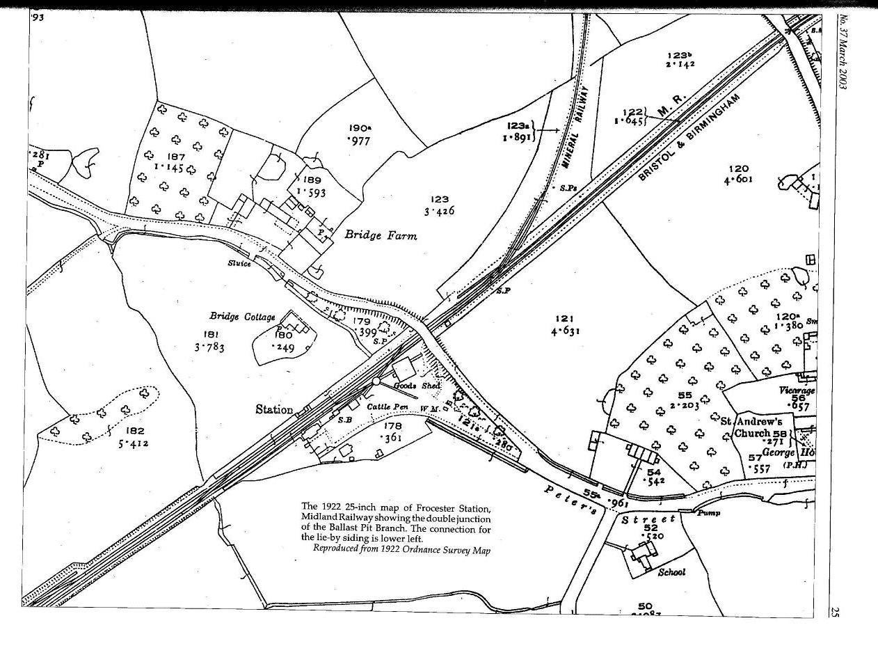
Around the turn of the 20th century there were several gravel workings at Frampton on Severn, and as activity increased a railway was built to connect onto the main line.

Following is an article written by Brian Edwards and first  published in Issue 37 of The Quarterly Journal for British Industrial and Transport History by the Lightmoor Press

FOSGP1 small
FOSGP14 small
FOSGP16 SMALL
FOSGP17 SMALL
FOSGP18 SMALL
FOSGP19 SMALL
FOSGP20 SMALL
FOSGP21 SMALL
FOSGP24 SMALL
FOSGP25 small
FOSGP26 SMALL
FOSGP27 SMALL
FOSGP28 SMALL
FOSGP29 SMALL

Our thanks go to Mr Brian Edwards and Black Dwarf Lightmoor Press for permission to publish this article